Imagine 80

COMISION 0% Parcela Bloc cu AC de 9 apartamente - Mosnita

ID: P220768 Mosnita Noua 111
157.990€ + TVA
Descriere
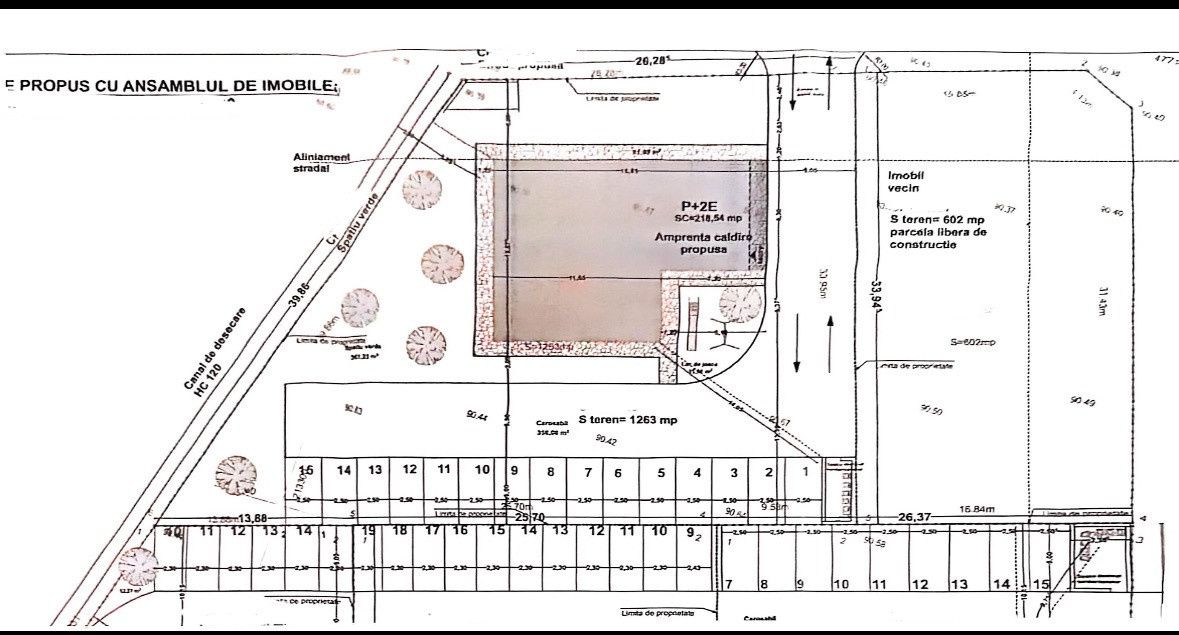
Evand Homes va prezinta spre vanzare o parcela de teren intravilan pretabil bloc cu 9 apartamente in Mosnita, zona Drumul Boilor/Noul Lidl, cu o suprafata de 1236 mp cu front de 27 ml.

Caracteristici teren:
- regim de inaltime Parter + 2 Etaje;
- disponibil Proiect cu Ac cu 9 apartamente din care 3 SAD-uri la parter;
- bransamente executate;

Utilitati: curent electric, apa, canalizare, gaz + bransamente!

Pret: 157.990€ - COMISION 0%.
Caracteristici
  • ID:P220768
  • S. teren:1236.00 mp
  • Front stradal:26.28 m
  • Nr. fronturi:1
  • Clasificare teren:Intravilan
  • Regim inaltime:P+2
Specificatii
Curent
Apa
Canalizare
Gaz
CATV
Fibra optica
Localizare
Alin Ivaniciuc
Consultant Imobiliar
Esti interesat de aceasta proprietate ?